全程导医网 徐州妇幼保健频道:当输卵管因感染、炎症或粘连等原因发生堵塞或功能受损,就可能导致不孕或宫外孕,评估输卵管通畅性的“金标准”,正是子宫输卵管造影。
什么是子宫输卵管造影?
子宫输卵管造影是通过向宫腔及输卵管内注入造影剂,在X光透视下动态观察其流动与分布,从而评估子宫形态、输卵管通畅度及盆腔粘连情况的检查方法。它不仅能够判断输卵管是否通畅,还能间接评估其蠕动与拾卵功能,对发现宫腔病变、指导后续治疗具有重要意义。
此外,该检查还具备一定的治疗作用:造影过程中可对输卵管和宫腔进行机械冲刷,碘剂还能对输卵管黏膜起到局部杀菌、改善子宫内膜环境的作用,从而有效提升术后自然妊娠几率。
无痛、精准、更安全 新一代造影技术优势
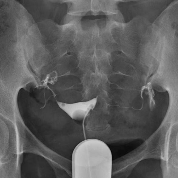
传统子宫输卵管造影采用宫腔球囊造影管,需导管置入宫腔并充盈导管前端球囊。当有子宫发育畸形、子宫曲度大、宫腔广泛粘连、子宫颈病变时,会导致插管困难,增加生殖道损伤的风险,患者疼痛感比较强烈,图像上不利于观察子宫腔全貌;当球囊充盈过度时,还可能发生导管头端顶住宫角导致同侧输卵管近端梗阻的假阳性。
如今,随着技术进步,新型造影管(导管头端呈蘑菇头状)应运而生。它仅置于宫颈外口或宫颈管,无需进入宫腔,即可完成造影,真正实现无痛置管、全面显影。

无痛体验
导管头端为蘑菇头状,堵宫颈外口,不进宫腔,避免了病人插管过程中引起的疼痛感。
全景显影
管身在宫颈外口,造影过程中能观察子宫腔、输卵管的全貌。
安全高效
导管不进入宫腔,避免潜在感染风险,如有需要,可当月进行输卵管介入疏通治疗,无需再等下一个月。
传统球囊导管造影法


新型(蘑菇头)导管造影法


从准备到结束 无痛造影全流程指引
术前准备
检查时间一般安排在月经干净后3-7天。需提前完成白带常规、血常规及感染指标等检查。检查周期内请避免性生活,当天也无需空腹。
检查过程
签署同意书后,取膀胱截石位,消毒后置入窥阴器暴露宫颈,将蘑菇头导管贴合宫颈外口注入造影剂,同步拍摄影像。20分钟后于同部位再次摄片。
术后注意事项
休息约30分钟无不适即可离院。术后两周内请避免盆浴和性生活,以防感染。出现少量出血或轻微不适属正常现象,通常1–3天可自行缓解。请遵医嘱预防感染,必要时口服抗生素。
造影后多久可以开始备孕?
建议造影当月避孕,次月即可尝试怀孕。
放射科
徐州市妇幼保健院放射科成立于1957年,经过几十年的建设和发展,成为集影像诊断与治疗、科研、教学、质控于一体的妇幼专科一级科室,担负着徐州市及淮海经济区广大妇女儿童的医疗与保健服务工作。
放射科现有工作人员14人,其中诊断医师正高级2人,博士1人,硕士研究生5人,多人在省、市级学会任职。医技人员配置合理,形成了技术精湛、专业过硬、经验丰富的妇科影像、乳腺综合影像、胎儿影像、儿科影像、放射介入等亚专科团队。
科室拥有GE SIGNA™ Architect 3.0T磁共振,全国领先的Hologic Selenia Dimensions数字乳腺X射线摄影系统,Hologic ASY-01366全数字乳腺钼靶X线机,PHILIPS多排螺旋CT及全数字双板DR机,岛津动态平板数字胃肠X线机,岛津及安健全数字床边X线机,飞利浦移动式C型臂X射线机等高端、先进设备。
常规开展业务:全身各部位CT、MR、DR检查与诊断;乳腺钼靶、断层摄影,乳腺导管造影,乳腺断层穿刺定位活检;非血管X线造影:妇产科疾病的介入诊疗等。其中子宫输卵管造影,乳腺钼靶、断层检查,妇产科、新生儿科疾病的影像诊断为科室特色,在本地区处于领先水平。
徐州导医热线:0516-85707122